確定西延!昆山這條路剛曝出
重磅!
長三角交通一體化再添新動脈
備受矚目的西延項目
已正式啟動建設
通車時間曝出!
昆山⇌太倉,新通道!
近日
蘇州交通運輸局官方宣布
廣州西路西延項目
即X203瀏雙公路(吳塘河-昆山界)
新建工程
已正式啟動建設
計劃2026年10月竣工,12月通車
👏👏👏
目前,廣州西路的最西端止于雙鳳鎮的川西路口。從路口向西道路的延伸段上,已經被圍擋圍了起來。
工地南側,已經修筑了一條可供兩輛載重卡車會車的混凝土施工便道,便道從東向西貫穿整個施工區域。工地西段的作業區里,載重卡車、挖掘機、推土機、壓路機配合作業,正在鋪設路基,為減少揚塵,霧炮車在工地穿梭作業。
據悉
X203瀏雙公路(吳塘河-昆山界)
新建工程全長約2700米
東起川西路口,沿騰涇河南岸布設
其間穿過多條河道和村莊
最后通過石家港河進入昆山
昆山將建設約800米長的道路
并將道路連接到迎賓路
該新建道路為一級公路標準,雙向四車道,斷面寬28米,全線設計速度為80千米/小時。項目主要建設內容包含道路工程、橋涵工程、照明工程和交安設施工程等。目前正在進行的是路基填筑施工、路基分層攤鋪。
X203瀏雙公路是《太倉市公路水路網規劃修編(2010-2030)》中規劃的市域內“七縱八橫九連接”的骨架公路網中的“八橫”之一,它貫穿太倉東西,溝通了主城與港城。
X203瀏雙公路(吳塘河-昆山界)新建工程是太倉與昆山主要公路接口之一,項目的實施是昆太協同發展合作中交通運輸一體化的重要一環。
項目建成后
將徹底打通困擾兩地多年的“斷頭路”瓶頸
串聯起沿線產業園區
推動兩地經濟協同發展
還將極大地惠及民生
提升沿線居民生活便利性!
昆山對外交通建設“火力全開”
對內也是“高歌猛進”!
昆山這條斷頭路要通了!
昆山人民政府網上發布
昆山融錦路西延道路新建工程
選址公示
擬建設項目名稱:昆山高新區融錦路西延道路新建工程
項目內容:新建道路全長約340m,寬約24m,按照城市支路標準設計,工程主要內容包括道路工程、交通工程、管線工程等配套附屬工程。
建設單位名稱:昆山市玉山鎮建設管理所
擬選址位置:項目位于昆北路東側融江路北側
用地面積:7283.19平方米
此前官方也發布了
相關地塊的征收公告
住城北融城匯園
孩子在紫竹幼兒園、紫竹小學上學的小伙伴
一定看出來了
融錦路馬上打通斷頭路
與昆北路連通了!
未來,城北交通路網
將多一條脈絡
出行將更加通達!
最新公示!昆山這道路將西延
昆山官方發布
錦榮路西延新建工程(一期)
建設項目用地預審
與選址意見批前公示
擬建設項目名稱:錦榮路西延新建工程(一期)
項目內容:項目一期全長約1.5km,寬30m,雙向四車道布置。
建設單位名稱:昆山市錦溪錦澄市政工程有限公司
擬選址位置:昆山錦溪鎮,西起環湖路與錦富路交叉口,東至南北中心河。
用地面積:44436.62平方米
日前
官方也發布過錦榮路
相關街區的規劃草案
其中規劃范圍就涉及此次道路西延的一部分
《昆山市JX0201、JX0202街區詳細規劃》草案
規劃草案中
明確提出規劃形成
“一心一軸、一鏈四組團”的空間結構
一心:科創服務中心
一軸:創新服務軸
一鏈:生態休閑鏈
四組團:服務組團、研發創新組團以及兩個產業智造組團
城市更新、道路先行
相信此次道路建設
也是在為未來片區的建設“鋪路”
拭目以待更多的規劃落地!
昆山多條道路新建!
昆山高新區青秀路(規劃鹿城路-寰慶路)
道路新建工程選址公示
擬建設項目名稱:昆山高新區青秀路(規劃鹿城路-寰慶路)道路新建工程
項目內容:新建道路全長約270m,寬約24m。工程內容包括道路工程、交通工程、排水工程、綜合管線、照明工程、綠化景觀等配套附屬工程。
建設單位名稱:昆山市玉山鎮建設管理所
擬選址位置:西起規劃鹿城路,東至寰慶路
用地面積:7438.72平方米
昆山高新區長江路西側
江洲路北側人行道
新建工程選址公示
擬建設項目名稱:昆山高新區長江路西側江洲路北側人行道新建工程
項目內容:新建道路全長約291米,寬約4-6米,主要改造內容包括道路工程及配套附屬工程。
建設單位名稱:昆山市玉山鎮建設管理所
擬選址位置:昆山高新區長江路西側江州路北側
用地面積:1120.44平方米
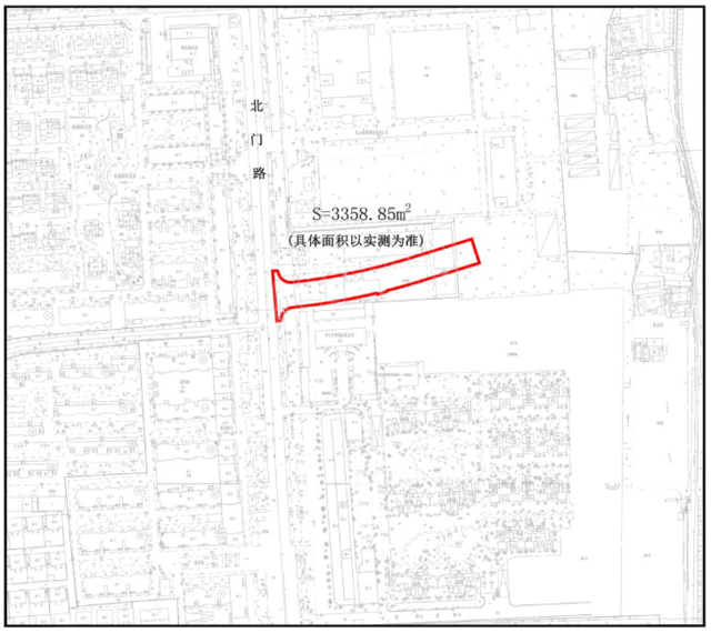
昆山高新區杜橋路
(北門路-方正名門花園北門)
新建工程選址公示
擬建設項目名稱:昆山高新區杜橋路(北門路-方正名門花園北門)新建工程
項目內容:新建道路全長168m,寬約20m,主要改造內容包括道路工程、交通工程、管線工程、照明工程等配套附屬工程。
建設單位名稱:昆山市玉山鎮建設管理所
擬選址位置:西起北門路,東至方正名門花園北門
用地面積:3358.85平方米
完善區域路網
助力產業協同與城市更新
加速長三角交通一體化進程
昆山交通建設再提速!
擴散到圈子里
讓更多人知道!
來源:昆山市人民政府、蘇州交通運輸等
昆山論壇綜合整理



























